|
| -1464- 涼しくなった | |
一昨年の異常高温の夏の印象が強いせいか、8月中は涼しくならないだろうと諦めていたら、昨日あたりから急に涼しくなってきた。今日は8月としては初めて一日中エアコンを使わずに過ごせた。農作物にとってはどうなんだろうという心配はあるものの、人間にとってはありがたい陽気だ。しかし、私の子供の頃の記憶では(信州の田舎の話だが)、お盆が済んで夏休みが終わる20日頃には涼風が吹いて、プールに入るのにも寒い日があったような気がするからこれが普通の気候なのかもしれない。・・・・異常気象ばかり続くので、感覚的には何が普通か分からなくなってきているようだ。
写真はヘチマ?だろうか。ずいぶん立派な花が塀の外に垂れ下がったツルにいくつも咲いている。遠くからも目につくので毎年つい散歩道を外れて近づいて見てしまう。 | |
2015/08/24 |
|
| |
|
| -1463- とりあえず・・・・ | |
再び大型台風が襲来する様子で気になるが、・・・・とりあえず写真だけ。 そう言えば、毎年8月末の週末になると、目の前の中学校の校庭では女子中学生のソフトボール大会が行われるが、今年も昨日から大会が行われているようで、終日黄色い声援が響いてくる。独特の節回しで学校ごとに異なる声援があるようでつい耳をそば立ててしまう。 今日は決勝戦まで行われたようだが、春先にはキャッチボールもおぼつかなかった子供たちが、夏休みに入った途端特訓の成果で外野フライも、内野ゴロの処理も上手にこなせるようになってきて、あの年頃の成長の早さにはびっくりさせられる。
近くの別のマンションの生け垣の間から毎年顔を出して咲く花。ルリマツリ(ブルーンバーゴ?)とか言う花らしい。綺麗な水色の花。 | |
2015/08/23 |
|
| |
|
| -1462- 東海大相模優勝 |
  昨日書いたように、すぐ近くの東海大相模が夏の甲子園で優勝したが、街の様子はどんなかと今朝の散歩は少しコースを変えて、学校の横の道から駅までを歩いてみた。 結果はまだ考えていたより静かで、校庭の周りのネットに「祝・優勝」という朝日新聞社の横断幕がかけられいたり、駅の構内の通路に商店会の同じような横断幕がかけられていたり、個人商店の窓に朝日新聞の販売店が配ったと思われるポスターが貼ってあったりする程度だった。 昼ころに通りかかった時には、若干賑やかになっており、校庭脇に車を止めて覗きこむ人などが数人いたくらい。まぁ まだあの時点では選手たちは帰ってきていないだろうからそんなもんだろうけど。 因みに、優勝パレードみたいなものがあるのかと思ったが、どうも最近はともすると大勢の人が集まりすぎて加熱しすぎるきらいがあるようで、そんなこともあるのか高野連から禁止の通達があるようで、パレードや一般人が参加できる報告会などは開催されないようだ。
今日の写真はタマスダレ。1ヶ月以上前から咲いているがこの花はとりわけ大きな花だ。 | |
2015/08/21 |
|
| |
|
| -1461- 高校野球 | |
あまりスポーツ中継には興味が無いが、今年の甲子園は常連校の東海大相模高校が強そうだというので注目していた。決勝戦の今日も、出先で新しくしたスマホの実況中継を知人とつい見てしまった。(知人は SoftBankの iPhoneで、私は IIJの Blade-Sで同じURLの動画をそれぞれ同時に見たが、図らずも 知人の方の中継は途切れ途切れ、私の方はスムースな再生で回線の違いが露呈! 勿論、その時間帯その地域だけの話だが、あの桃太郎を茶化したTVコマーシャルの裏の実態を見たような?) 親戚の子が通っているということもないし、単に地元というだけなんだが、歩いても5分、直線距離で500mくらい、家にいても時々応援のブラスバンドの音が風に乗って聞こえてくるくらいのところの学校で、家から一番近い駅への途中でいつも広くはないグラウンドで練習している姿を見ているだけで、つい肩入れしてしまった。夜中の12時過ぎに私が終電で帰ってくるときも、野球部の打撃練習場と思われるテントには灯りがついて、「カーン、カーン」という打撃練習の音が聞こえてくる。高校生がこんな時間まで・・・とびっくりするが、全国一を目指して必死で練習するということはこういう事なんだろうと感心してしまう。 今週末は、地域あげて祝勝ムードになるんだろうか?
今日の写真はオオシオカラトンボだろうか。散歩の途中、路面に止まって珍しくおとなしくしていたので2枚ほど撮れた。 | |
2015/08/20 |
|
| |
|
| -1460- とりあえず・・・ | |
昨日の写真と似た花だけど、こっちは確かペンタスとか言ったと思う。散歩道の塀の外の鉢植えに咲いていた。一つずつは小さな花だけど、集まると色のせいか花火のように目を引く花だ。 | |
2015/08/18 |
|
| |
|
| -1459- スマホ用ケース:その2 |
昨日書いたように、スマホ用のケース/ホルダーの話題の続き。 実は、探している中でほぼ使えそうなセミハードのホルダーを店頭で一つ見つけて購入していた。しかし こちらのホルダーもg03が裸のままだとピッタシ収まるんだが、カバーを付けた状態だとこちらは僅かに胴回りの寸法が足りなくて入らないことがわかったので、しばらく昨日書いたようにソフトなケースを手入れしながら使っていた。  で、最近になって思い出して少し手を加えて使えないかあれこれ考えてみた。胴回りの断面を決めているのは表裏のセミハードな板と、その間を繋ぐ編んだゴム状の布地。しかしこのゴムの布地は半分ほどが合成皮革と縫い合わさっているために殆どゴムの役目をしてないと思われた。カバー装着状態で無理やり突っ込んでも、伸びないので間は殆ど広がらない。最悪、このゴム布地を切って別の布地を継ぎ足すことも考えたが、革も縫えるような工業用ミシンでも無い限り完成形はどう考えても美しくない。 で とりあえす、合成皮革との縫い合わせ部分をミシン目の糸を切って解いてみた(写真の赤枠部分が切る前の縫い目)。すると合成皮革に縫い合わさっていた部分が開放されて かなりゴム性が出て伸びるようになったのでカバーを付けたままでも g03が入るようになった。というより出し入れに若干きつめながら抵抗があって不用意に落ちそうにないので却って都合良さそう。縫い目を解かれた合成皮革はほんの少しだけ外側に出っ張るので、最初は切り落とそうかとも思ったが、切り口が見えて却って汚くなりそうで止めにした。数日使ってみたが機能上も美観的にもほとんど気にならない。 ということでこのまま使うことに。 結局 1300円弱でいい買い物だった、と自己満足。
写真はノコギリソウ。夏休みで出かけた先の庭に咲いていた。 | |
2015/08/17 |
|
| |
|
| -1458- スマホ用ケース:その1 |
再びスマホの話題。 カバーについては、どうにか Webで調達できたと書いた。しかし、カバーに入れても、そのままポケットに・・・と言うのは少し気になる。ポケットが重くなって固くて大きなものが入っている感じがして気になる。ガラケーの時はずっとそうしていたんだが、あちらは重さはほぼ同じながら、畳むと面積は小さくなったのであまり気にならなかったんだろうか? 女性のように常にハンドバックのような物入れを持ち歩く習慣もないので、適当な入れ物も思いつかないし、最悪出かけるときは小さなショルダーバックに入れてもいいが家の中では困るし、「マーフィーの法則」で自分の部屋に置いたまま居間で食事などしている時に限って電話が着信して不在着信になってしまう。 そう思いつつ店頭で色々物色すると、ベルトに吊り下げるようなケースと言うのか、ホルダーと言うのか・・・があることがわかった。ガラケーの時にもこんな感じのものを使っている人を見た記憶はあるが、ちょっと大げさすぎる気がして私は使ったことがなかった。しかし、スマホになって背面はカバーで保護できたが大切な表示画面はむき出しだし、その面積も大きいのでどうしても気になってケースと言うのかホルダーと言うか・・・を本気で探してみた。カバーよりは大きさにマージンがあるだろうから、適合する商品もあるだろう・・・・と楽観していたが、探し始めてみて これがなかなか見つからないことが判明。同じ 5インチ画面ながら外形は iPhone6 などより 2mmほど大きいだけで、うまく収まるケース/ホルダーが見つからない。「入るだろう」と思って買ったこの上のセミハードケースも裸なら入るがカバーを装着すると入らない・・・という状況だ。  あれこれ探しているうちに、全く違う探しものの最中に自宅の机のガラクタの中から10年以上前の海外出張の際に購入した現地通貨などを入れてベルトに止めるカードケースのような入れ物があることに気づいた。全く違う用途ながら、意外とこれがサイズ的にはちょうど良いことが分かった。で、1ヶ月ほどこれを流用していたんだが、カバーを付ける前はちょうど良かったのに、カバーをつけたらその分高さ方向に余裕がなくなり、マジックテープの合わさりが若干足りなくなってしまった。 そこで、お得意の百均でマジックテープを調達して、足りない部分にマジックテープの片側だけをゴム状接着剤で止めて、端っこだけを針と糸で縫ってみた。(写真の白い枠の部分が元あったマジックテープの部分、赤い枠の部分が新しく追加したマジックテープ)何とかこれで不用意に蓋が開いてスマホが落下することはなくなった。ただ、ベルト通しの部分が折りたたんだ状態でちょうど真ん中に来るので、スマホを入れると重心が高くなりすぎて、ベルト装着時には上端が体から離れるので手を動かしたりするときについ引っかけてしまう。「使えなくはない」「ホルダーが無いよりはいい」という程度の使い勝手で、緊急避難的にはOKでもこれで使い続けようという気にはならない。
写真は、昨日のフウセンカズラのように中がスカスカの実。モクゲンジの笑んだ実。3角に笑んで中から丸い実がのぞいている。写真の上半分は木になっている状態。下側は実を3個ほど失敬してきてベンチの隙間に置いて撮影したもの。 | |
2015/08/16 |
|
| |
|
| -1457- とりあえず・・・ | |
今日は終戦記念日。 安倍さんなどは言われたくないんだろうけど、見方によっては敗戦記念日。 ・・・・という話題は置いといて、とりあえず写真はフウセンカズラの花と実。去年までは散歩道で見かけたが、今年は何時ものところには見かけなくなって、この写真はかなりルートを外れたところでやっと見つけたもの。 中はスカスカなのに、こんなに立派な袋に包まれている理由は何だろう? | |
2015/08/15 |
|
| |
|
| -1456- 夏休み終了 | |
我が家の夏休みは一昨日で終了。とりわけ夜の涼しかった信州から帰ってきた。 しかし、5日ほど前の行く前と比べるとこの辺りも夜は予想外に涼しくなっていた。雨でも降ったんだろう。蒸し暑さは相変わらずだが、気温は3℃位は低く感じた。おまけに昨日は朝から結構な降り方で、一層地熱が下がった感じがする。
今日の写真は、しばらくぶりの散歩で雨に濡れたサルスベリの花を撮影。昔は見たことがなかった真っ白なサルスベリも最近はよく見かけるようになったが、何か「真夏」という感じはやはり赤い花だ。 | |
2015/08/14 |
|
| |
|
| -1455- 自然 | |
新聞やTVでは連日 猛暑、猛暑と騒いでいる。確かにここ何週かは、人が普通に暮らすには暑すぎる。 しかし、熱中症で何人が運ばれたとか、亡くなったとか言うニュースを聞いていて ふと思った。 元来、人が厳しい寒さや暑さで亡くなるのは極めて普通で、体力がない順に亡くなるならそれは自然な事だ。(中にはクーラーが使えなくてと言う例もあることは承知しているが、ここでは全ての熱中症死を取り上げるつもりはない) かつて解剖学者・養老孟の「死の壁」と言う本について書いた。文明の進化、生活の変化で自然現象である人の死が普段の生活から遠ざかってしまったと言う内容だったが、猛暑騒ぎは起きるべくして起きる「死」に対してもメディアが大騒ぎしてズームアップすることで自然の死をニュースにしている(=皮肉な言い方をすれば彼らのメシの種にしている)ような気がする。
今日もこの下の写真の続き。今度はカメラを持って出かけて、望遠側で親鳥が返ってきたところを撮影。ツバメは人家の屋根下に巣を作るくらいで、比較的人に慣れているようで3m位のところからカメラを構えてもあまり警戒する様子もなかった。 | |
2015/08/11 |
|
| |
|
| -1454- 懐かしい景色 | |
夕飯を食べに出かけたとある食堂で、窓の外にツバメが飛んできていた。食事を終って外に出て見ると、雨どいの上にツバメが巣を作っていた。親ツバメがいなくなった隙を見てスマホで撮影したが、驚かさないようにあまり近づけないしそれなりの画像になったが、懐かしい景色に暫く見上げていた。(正確に言えば、懐かしい光景のツバメの巣は人間がわざわざ壁に作った木の板の上に作ったものだったが、そんなことしなくてもこんな不安定で狭いところでもちゃんと巣を作るんだ!) | |
2015/08/09 |
|
| |
|
| -1453- 灼熱の東京から涼しい信州へ | |
今日は所用で夕方から信州へ。 あずさの中はエコを盾に電気代を節約しているのか、弱冷房状態で新宿でかいた汗がなかなかひかなかったが岡谷駅に降りた途端、涼しい風が。 家の中でも細く窓を開けているだけで、クーラーよりも気持ちいい風が入ってくる。 昼間は同じように暑いんだろうけど、この夜の風は別世界だ。 それにしても途中、立川~八王子辺りで車窓から見えた夕陽は不気味だった。 写真は後日アップ: モジバナ 珍しいところで見つけた。 | |
2015/08/07 |
|
| |
|
| -1452- 不徳の限り・・・ |
 お恥ずかしい話だが、水道料金の督促状を頂いてしまった。しかも督促状をもらったのは今回で何回目かだ。いつもどうして? と思っていて、今回 払いに行こうとして初めてその理由に気づいた。郵送されてくる納入通知書も督促状も開いた左側最上段に「収納済通知書」とあるではないか。過去何回か 「収納済みなんだ」と思って破り捨てたことがある。確かに見開きの右側を見れば「納入通知書兼・・・」となっているので、ここまで見ると「ああ、収めないといけないな」と分かるんだが、それならどうして「収納済」=支払い不要 と言う表題なんだ? という疑問が入道雲のように湧いてきた。 そこで、「お問い合わせ」電話番号に慇懃無礼な態度で電話してみた。結果、どうやら金融機関から水道局への「収納済通知書」らしい。おいおい、水道を利用している利用者=お客様に送付しておいて、真っ先に目に入る表題が金融機関と水道局のやりとり文言かよ! と思った途端「お役所ですね~」と思わず呻いてしまった。電話口の向こうの問合せ=クレーム対応担当者のお姉さんがビクビクしているのが伝わってくるので、<簡単に>「利用者に送りつける文書なのに、役所向けの表題から入るのはおかしいでしょ云々 (以下略)」・・・と極めて「丁重」且つ「論理的」に指摘して電話を切ったが、民間の文書だったら<誰が見る文書で、見慣れない人にもなるべく誤解が生じないようにするには・・・>を第一義に、関連機関内の処理用欄ならマニュアル化しておけば目立たないところでもいいから・・・となると思うんだが。 久しぶりに<お役所仕事>の一端を垣間見た気がした。 他の自治体の水道局の納付書はどうなっているんだろう?
写真は暑い中、散歩していたら羽化したばかりなのか、桜の幼木にセミが飛んできて止まった。数日前にも椿の枝に止まったセミの写真を撮ったが、今年はセミが多いんだろうか? 同じように散歩していても去年まではこんな距離で撮影することはなかったのに、今年はよくこうしたシチュエーションに出くわす。 | |
2015/08/06 |
|
| |
|
| -1451- 灼熱の太陽 |
 昨日、今日と 異常なくらい強い日差しが照りつけている。そんな中、昨日は所要があって都内へ。初めて出かけた早稲田周辺で、メトロの駅から降りて出口を出た途端 文字通り「目も眩むような」陽射し。駅出口は涼しい風が噴き出しているので慌てて階段下まで戻って、さて右に出たほうがいいか左か? と悩んだ。普通ならちょっと出て左右を見回したりして目的地の方向を判断するんだが、一瞬だけながら どうも周りに目安になる建物もなさそうに思えた。 そこで早速、スマホを利用することに。google Mapを起動して行き先の会社名を入力すると簡単に目的地のマークと自分の位置が表示され、人のアイコンをタップするとルートまで表示された(とは言っても100mにも満たない距離だと分かったが)。ビルの反射のせいか、地下のせいか 自分の位置は道路の反対側になってしまっているけれど、地図には地下鉄出口も表示されるのでそれくらいの誤差なら間違えずに方向が分かる。 スマホならこうしたことが出来るということは頭では理解していたが、例え1秒でも長く路上にいたくはなくて早く目的地のクーラーの中に飛び込みたい昨日のような状況では身を持って便利さを実感した。 それにしてもこれがガラケーの月額使用料の半分?・・・・今更ながら<デジタルデバイド=情報格差>に疑問がわいた。
写真は数日前の撮影だが、色づき始めたホオズキ。雨が少ないせいか少し焼けたような色をしている。 | |
2015/08/05 |
|
| |
|
| -1450- 真夏の花 |
アメリカフヨウだろうか? 見るからに「熱い」花だ。南国の花のイメージが強いハイビスカスなどもアオイ科フヨウ属で同じ種類らしいが、こっちのほうが余程暑苦しい。花びらは何日か前にアップした 白い花の柔かな感じとは違い、暑さのせいか渋紙のような質感だ。 近所の住宅の庭に咲いているのをあまりにも見事なので失敬して。 | |
2015/08/02 |
|
| |
|
| -1449- 椿の実 | |
昨日アップしたセミを撮る前に撮影した椿の実。直径3Cmほどの結構大きな実がいくつもなっている。この実を絞れば「椿油」が取れるんだろうか? 髪には良いらしいく、ヨメさんからは薦められるが何よりベトつくのが嫌いでもう30年以上、私は整髪料を使っていない。そのせいか歳のせいかは定かではないが最近は白髪のほうが多くなったような気がする。 | |
2015/07/31 |
|
| |
|
| -1448- 盛夏 | |
暑い・・・と言うより「熱い」日が続いている。 朝の散歩は続けているが、帰ってくると一目散の感じでクーラーの部屋に飛び込む。若干の薄曇りでも汗だくだくだが、今朝のように日差しが強いとつい日陰を探して日陰から日陰に渡り歩く感じになってしまう。 そんな散歩中に椿の実を見つけて写真を撮ろうと構えたら、好都合なことにセミがどこからか飛んできて椿の木に止まった。飛んで火にいる・・・とばかりに 若干枝が邪魔だったが、何とか背伸びしてピントを合わせてシャッターを切った。マクロの撮影距離でセミを撮れる機会はそうはないだろう。写真を見るまで何セミか分からなかったが、青緑色の斑紋があるからミンミンゼミだろうか? | |
2015/07/30 |
|
| |
|
| -1447- スマホカバー |
 Webで見つけたスマホ g03用のカバーを注文しておいたら昨日届いた。 早速被せてみると、想像したよりは具合がいい。材質は軟質塩ビのような感じで若干厚いが、その分落とした時のクッションにはなる。しかも側面にはローレットのようなギザギザが刻んであって滑りにくく考えられている。裸では非常に滑りやすく既に3回ほど落下試験をしてしまったから、このカバーは必須アイテムだ。液晶保護フィルムとセットで1300円ほどだったが、いい買い物をした気分だ。
今日の写真はキンカンの花。地面に一面花びらが落ちて白く散り敷いていた。 | |
2015/07/27 |
|
| |
|
| -1446- 四苦八苦 |
スマホでまだまだ楽しんでいる。 家族との連絡用のメールの設定がなかなか思うように行かない。もっぱらアッシー君としての存在意義しかない私は「駅まで迎えに来て」というメールが着信した時にガラケーのように着信音を鳴らしたいと思うんだが、どこをどういじっても鳴ってくれない。着信が分かるのも「同期」のサイクルによってしまうので「5分」とかが最短なようだ。 あれこれ Webで調べたりして着信の同期の方は「Activesync」とか「プッシュ」と呼ばれる機能が使える IMAPと言うプロトコルを設定すればいいことがわかった。通常のPOPと呼ばれるプロトコルでは端末側からサーバーに着信メールを探しに行くが、IMAPならサーバーがメールを受信したと同時に着信の信号が端末に送られるらしい。 着信音の方は、どうやらスマホの設定の中に「着信音」とか「サウンド」とか言う項目を探したがそうした項目ではなくて、ホーム画面を上端から二本指で下にスワイプして表示される設定画面で「通知」という項目の中に「全て」「重要」「なし」と言う設定オプションがありこれを「重要」から「全て」に変えたら鳴るようになった。不思議なことにホームの「設定」アイコンから設定画面を表示させると同じ項目は見つけられない。「音声と通知」の「割り込み」の中に「通話の着信時と通知の受信時」と言う項目がありこの設定が「常に割込み」「優先的な割込みのみ許可」「割込みなし」というのがあり、片方で「重要」にセットすると他方が「優先的な割込みのみ許可」に変わることから、多分日本語化の際にたどる経路によって同じ設定項目でも項目名が違ってしまっているのではないかと推察。 またハウツーページに書き込む項目が増えた。
今日の写真は 半月ほど前にアップしたモクゲンジという木になった実。まだ青いがそのうち黄色くなって袋が開いて種が見えそうだ。 | |
2015/07/25 |
|
| |
|
| -1445- 5年後 | |
5年後の今日はオリンピックが開幕するらしい。そんな朝の情報番組を見ながらふと思った。 今はもっぱら国立競技場問題で誰も心配していないが、5年後のオリンピック開催中も今朝のような日差しの日が続けばオリンピックは悲惨なことにならないか? と。 ここ数年、関東地方の暑さは普通にしていてもかなり堪えるし、屋外の日差しの下にいれば体力盛んな高校生でも熱中症になってバタバタ倒れるほどだ。開会式やスポーツ観戦の場所が全て空調が効いているわけがないし、沿道でマラソンなどを夢中で観戦していて気づいた時には脱水症だった、なんて話は当然予想できる。 夏休み中の開催が商業主義に走って入場券販売数だけを気にする IOCの方針らしいが、終わってみれば「期間中の熱中症患者数、死者数最悪」なんて見出しが踊ることにならなければいいが・・・とそんな不安が頭のなかでチラついた。
今日の写真はオニユリ。この辺りで自然に見ることはなくなったが、一昨年だったか近くのマンションの庭にあるのを見つけて、毎年この時期になると少しだけ回り道して散歩しては写真に収めてくる。 | |
2015/07/24 |
|
| |
|
| -1444- How to 格安スマホ |
遅まきながら 格安スマホの選び方、使い方など 別ページでアップしたので、興味があったら覗いてみてください。
今日の写真はグラジオラス。 最近はあまり人気がないのか、昔ほど家々の庭では見なくなった花だ。 | |
2015/07/22 |
|
| |
|
| -1443- 国立競技場問題 | |
一昨日あたりから、新しい国立競技場問題がリセットされると報じられ始めた。安全保障関連法案で支持率を下げている安倍政権が、これ以上の人気低下を恐れて批判の強いこの問題では世論重視の姿勢を見せたということだろう。 しかし、計画の最高責任者の頭を超えて任命権者が建設計画をリセットすると言うが、通常こうした計画撤回の場合その最高責任者は罷免されると思うんだが、今回の最高責任者=文科相は居座るらしい。それ以前に、お互いの責任を追求し始めるとキリがないか最悪泥沼化すると読んでか、内輪からは誰も責任論を持ち出さない。せめてぶら下がりの記者さんには「計画白紙撤回ということは、今まで判断してきた責任は白黒はっきりさせるんですか?」くらいの質問はして欲しかった。
今日の写真はヤブミョウガの花。近くの林の中の日当たりの悪い小道の傍に沢山咲いていた。よく見ると、花のところに花蜂?が飛んでいる。 | |
2015/07/21 |
|
| |
|
| -1442- スマホに苦戦! |
結構スマホにハマって楽しく苦戦している。 甘く考えていたのがケースというかカバーと液晶保護フィルム。どちらもマイナーな機種だから専用品がないのは覚悟していた。しかしあれだけ機種があるんだから中にはサイズ的に何とか合うものがあるだろうとナメていたが、実際 店頭はもちろん、Webでも探してみると縦横だけでも0~+1mmの中に入るものはない。カバーに至ってはそれに角のRの形状や厚さ、更には底面と側面のR形状まで合わないといけないと考えると絶望的なことがわかった。まぁ今までは4.5インチくらいまでが主流で今後ディスプレイが5インチというのはもっと種類が増えるだろうとは思うが。次善の策としてポケットに入れないで持ち歩けるような こんなベルト取り付け用ホルダを購入することも視野に入れているが、どうしても取り出した時に手を滑らせて落とす心配がある。いよいよ自作かな? 方法は? などと楽しい空想にふけっている。  一方、液晶保護フィルムの方は専用品はなかったものの、近くのノジマをうろついたら適合機種名なしで単に「5インチ用」というフィルムが一枚だけ残っていた。サイズを見ると専用品のようにカメラ部分やホームキーの部分が抜けた複雑な形状ではなくて、本当に液晶部分+αの矩形。まぁ目的からすれば十分だと迷わず購入してきて貼ってみた。結果は上々。♪ 気泡も軽くこすっただけで抜けて今のところ剥がれる気配もない。右の写真はすでにフィルムを貼ってあるが、液晶の周り 2~3mmのところが若干黄色くなっているのが見えるだろうか? これで液晶表面の汚れや傷を気にしないで使えるようになった。実際気になる指紋は付きづらく付いても軽く拭けば綺麗になる。メインスペックの青色カット21%というのは気休め程度だが。(同じ メーカーのWebを見てももう同じ商品は見つけられなかった。さすがに21%カットでブルーライトカットをうたうのは憚られたか廃番になったんだろう。代わりに傷防止や衝撃吸収をうたっている。)
今日の写真は花盛りになってきたフヨウ。この花はアメリカフヨウというのだろうか? 普通のフヨウとは葉っぱの形が違うし、花も直径が20cm位と大きい。 | |
2015/07/19 |
|
| |
|
| -1441- スマホ Debut!!! |
遅まきながらついに 今日 相模大野の Bigカメラに出かけて、スマホ MNP購入。  本体は ZTE(中国通信機器メーカ)の g03 通称 Gooスマホ。BIG-sim と言いつつ MVNO事業者は IIJmio(Docomoの回線)。 従って接続エリアは Docomoと同一で、月額費用 1600円 + 10円/30秒(ミオフォン使用時)。多分私の使い方だと十分に 2,000円に収まる計算。今までより少なくとも 1,000円以上倹約できるハズ。 端末代は 32,000円程度、初期費用は端末代含め ≒ 35,000円。 これで1ヶ月+αの猶予でいつでも解約可能。(実際には通話機能の方に縛りがあるということで、12ヶ月未満だと 1,000円/月の違約金と途中で言われたが) さすが格安携帯だけあって、設定サービスも有料ということで 自宅に帰ってから自分で四苦八苦しながら設定完了。・・・基本的な部分だけだが。 明日からもしばらく楽しめそう。
今日の写真は真夏らしいヒマワリ。背丈 1mほどの小ぶりの鉢植えの花。 | |
2015/07/12 |
|
| |
|
| -1440- とりあえず | |
一旦雨がやんだと思ったら、前線は遥か東海上に遠ざかり今日も快晴の夏の空。一昨日までの予報ではしばらく晴れマークがなかったのに今日の予報では来週前半もお日様マークだ。気象庁がなんと言おうと梅雨は上がったようだ。 写真は雑草地のオニアザミ。 こうした懐かしい草花を見るとなぜかほっとする。 | |
2015/07/11 |
|
| |
|
| -1439- 梅雨明け? 中休み? | |
今日は仕事の関係で両国まで。 昨日までは「明日は雨が降らなければいいが」と思っていたのに、朝方の薄曇りが徐々に強い日差しに変わっていって、昼頃出かけた時には快晴。気温も徐々に上昇して、両国の街並みを歩く時には道路の日陰側を選んで、交差点では赤信号になると手前のビルの陰で立ち止まって信号を待つほどに。 それでも、日陰の風はまだ気持ち良かった。帰りは少し早めだったので家電店でスマホの新機種を物色。遅まきながらスマホへの乗り換えを画策中で、Y!mobileの店員に2回線+光固定回線から乗り換え予定と言った途端 「カモネギ」と思ったらしく目の色が変わったようにセールストーク攻勢に合った。仕方なしに Webで仕込んだ俄か知識をひけらかして、機種の評価やら格安キャリアの特徴点を上げつつ、2~3質問をした途端引っこんでくれた。 触りたかったのは Huawei P8 Lite なんだが、近くのノジマには何故かまだ展示がなく、コジマでやっと触る事が出来た。こちらは最初からオーラを出したせいか、年配の店員が遠慮がちに展示コーナーへ案内してくれただけで好きに触る事が出来た。・・・・とは言っても分かるのはデザインと液晶、カメラのモニタ画面くらいなんだが。 P8 Liteはデザインは悪くはないが想像より若干チープな感じで期待したほどではなかった。カメラもイマイチ鮮鋭感がない。 ZenPhone2 のあの背面のヌメーっとした Rが無ければ迷わないんだが、どうも好きになれない。それに 画面が大きい分重量が 170gと今のガラケー(120g)より 5割近く重くなる。毎日ポケットに入れて持ち歩くには重すぎるような気がする。等等・・・・まだ悩み中
今日の写真は 観賞用のナスだろうか? 散歩道の花の寄せ植えポストに咲いていた。 | |
2015/07/10 |
|
| |
|
| -1438- 梅雨 | |
毎日うっとうしい梅雨の天気が続いている。異常気象と言いながら、このところの天気は本当に梅雨らしくシトシトと降る。過去の天気を見てみると、この辺りは7月に入ってから一日を除いて雨だったらしい。今日も朝出かける時は曇りだったが午後に帰る時には結構な降りになってズボンの裾はビショビショに。こうした前線の座り込みは台風などの強い刺激でもないと取り払われないんだろうか。晴れては欲しいが、その後の暑さもイヤだ・・・・と人間の身勝手さが丸出しだ。
半月ほど前にもアップしたが、近くの工場の敷地にある池の睡蓮の花。より塀に近い所で咲いたので花の中まで撮影が可能に。 | |
2015/07/08 |
|
| |
|
| -1437- 七夕 |
今日は七夕だと言うが田舎の月遅れの慣習で育った私には、7月のお盆と同様 新暦で言われても何か季節感がぴったり来ない。 いつも家人に質問されるんだが、旧暦(太陰太陽暦)、新暦(太陽暦)と月遅れの関係がややこしい。 元々日本など農耕文化中心の東南アジアで使われていた太陰太陽暦というのは、種をまく日付や、そこから決まる収穫日などにちなんだ祭りを決めるための要望から出来てきたと思われるが、今みたいに全国(世界)一律の七曜カレンダーがあってラジオ・TVやネット、はたまた最近はカレンダー時計で津々浦々まで「今日は○月○日」と知らせてくれるようになったのはせいぜいここ百年ほど、それより以前は通信手段のない地方の人々でも一律の日付を知るためには季節の移り変わりと永久不変で一律な月の満ち欠けが唯一の手段だったはずで、そこから諸々の行事も太陽運行中の新月が出現する旧暦正月起算で、そこから月が7回目の満ち欠けの七ヵ月の日の夕方に・・・などと決まっていたはず。 一方、新暦=グレゴリオ暦を考案したキリスト教圏でのカレンダーはイエスが磔から復活したことを祝う日=「春分の日を過ぎた最初の満月の次の日曜日」を決めるためのものであり、新年は単純に春分の日から数えて71日前とされたらしい。 ここから新暦と旧暦のずれが発生しているので、元々旧暦の行事をその日付のまま新暦に移行すること自体が無理・無意味だったわけだが、多くの人間はデジタルが苦手と言いつつ行事の日付は毎年決まった○月○日というのが好きらしく、その日付のまま新暦上のカレンダーに移行してしまった。しかし実際に移行してみると夕方星を眺める七夕の日は梅雨の真っ最中だったり、逆に雨が多くて湿気っぽいから菖蒲湯に入って邪気を払うはずの端午の節句は爽やかな季節になってしまったりでしっくりこない。 そこで、私のようにアバウトな人が「毎年変わる新暦vs旧暦の変換は面倒だから、大体季節感が合っている月遅れでやればいいじゃん」となったんだろう。元々太陰太陽暦は太陽運行とは 30日近くずれるはずで、季節感と言うなら関係のない月の満ち欠けに影響されないこっちの方がズレないと言うこともあるし・・・ などと説明しても論理に疎い家人は私の説明を半分も聞かないうちに「分かった分かった」と結論を急がせるんだが。だから毎年同じことを繰り返し聞かれる。 所で 旧暦の七夕は今年の場合 新暦に直すと 8月20日になるという。今年の8月20日に里芋の葉っぱに朝露が溜まるかどうか知らないが、その露で墨を磨って字を書けば字が上手になる・・・・と子供の頃言われたような気もする。この言い伝えそのものが、本家中国の七夕祭りの一つの起源らしく、その読み「たなばた」は古い民間信仰のなかに「棚機女(たなばたつめ)」という巫女さんが水辺で神の降臨を待つという「禊ぎ(みそぎ)」の行事が由来で、それが中国から伝来した字や芸事が上達することを願って7月7日の夜に星にそなえ物をする宮中の祭の七夕(しちせき)伝説と結びついて「七夕」=「たなばた」と読ませるようになったらしい、と Webで知った。
今日の写真はムラサキツユクサ。雑草が目の敵のようにされるこの辺りでは見かけることも少ないが。 | |
2015/07/07 |
|
| |
|
| -1436- 久しぶりの Windows ロールバック | |
しばらく前から PCの TVボードで TV番組の一部が読み取れなくなっていた。ごく一部のチャンネルだけだったので気にはしていなかったが、一昨日2~3回再生できない番組録画にあたったのでちょっと気になった。どうやら、地デジを除くかなりの番組が 6月途中から同じ症状だったようだ。特に自分でインストールしたアプリなどは心当たりもないので、考えられるのは Windows Updateで何か関連ファイルが書き変わってしまったということ。 Windowsの復元を見ると、ディスクスペースの関係か 7月に入ってからの復元データしかリストアップされない。そんなこともあろうかと、毎月月初に別途 Paragonで O/Sパーティションのフルバックアップを自動で保存するようにしていたのでそれを探すと何故か 7月の前は 4月。??? 毎月なのに・・・・と思いつつもこちらは確認に手間取りそうなので目を瞑って、4月のバックアップをリストアすることに。・・・待つこと 10数分。 どうやら当初の全てのチャンネルが復元したようだ。 とりあえず Windowsのオートアップデートは外したが、ずっとこのままと言うわけにもいかないし、問題はどのアップデートなのかを切り分けて、それだけを永久に外す事が出来るかどうか。逐一アップデートの前後で 再生を確認してはダメになるアップデートを見つけないとならないんだろうか?
今日の写真はボタンクサギの開花。撮影は1週間ほど前になるが、そのしばらく前から紅色の蕾が目立つようになって来ていた。周辺がピンクに変わったので近づいて開花を確認し撮影。まだ咲き始めなので周りだけが奇麗な人型に咲いている。 | |
2015/07/05 |
|
| |
|
| -1435- css 覚書 | |
狭い話だが。 今まで、Webの HPで クリックして画面表示を変えるには Javascriptなどの言語が必要だと思っていたが、最近になって css3/HTML5 では スタイルシートだけで同じようなことができるらしいとわかった。 出来るとは言っても cssは元々動作処理記述言語ではないので、クリックした後に表示を変える動作を記述するのはかなり難解な記述になるが、ここ数日四苦八苦した甲斐があっておよその動作が飲み込めた。 これを使って新しいページのテンプレートを作らなくては。
今日の写真はモクゲンジという木の花らしい。最近出来た隣のマンションの北側に植樹してある木。花が咲いていたのが 3m以上と高いところなのであまり解像の良い写真が撮れなかったが、黄色の花弁の根本がピンク色になっている。花弁の根本の色かと思ったが「付属体」と言う花弁とは異なるパーツらしい。珍しい花だ。 | |
2015/07/04 |
|
| |
|
| -1434- ギリシャと国立競技場 | |
1年の半分が終わった。 ギリシャの債務問題と東京の国立競技場の予算大幅超過問題が同時発生している。何かオリンピック発祥の地の問題が、次にはオリンピック招致した日本に飛び火することを暗示しているような展開だ。 ギリシャの債務問題の経緯を聞いていると、これまでの政権が国民の人気取りで財源を無視して年金額の引き上げや支給年齢の引き下げを行い、国家財政の破綻を招いたらしい。元々公務員の比率が異常に高い国らしいから、観光業以外生産性は極めて低い国だと思われる。そんな国で結局は目先の飴玉に騙されて政権を選んだ有権者の先読みの甘さが命取りになったということだろう。詰めて言えば、選んだ政治家が有権者に債務を負わせて金をばらまくという、言わば国家単位のクレジットカード地獄のような政策を行い、いよいよ返済期限で取り立て屋が玄関に来てそれと気づいた時には既にその政権担当者はおそらく自分たちの高額給与を海外移転して知らぬ顔の半兵衛を決め込んでいるという図式だ。これは民主主義の最大の弱点だと思うが、選ばれるためには精一杯の画餅を見せておいて、政権中には目先を変えて、退陣後の結果については責任を追わなくて済むという欠陥システムだ。 ここまでは本当に海の向こうの対岸の火事だが、実際にかなりの火の粉が降りかかりそうな話が、そのギリシャ問題と同期して、1300億円の予算で始めた国立競技場の建設が、実際は 3,000億円以上、精一杯削っても 2,500億円という途方も無い金額になっているという。まさにオリンピックのお祭り騒ぎに乗じて借金バラマキで人気を維持すると共に建設業界に利益を誘導する施策だ。東京都と国がどれだけ折半することになるのか知らないが、いずれにしても借金返済時には安倍内閣も舛添知事も高みの見物で、国民一人あたり 2500円、我が家は2人で 5,000円の借金を背負わされた計算だ。・・・もっともそれ以前に、1,000兆円の財政赤字・・・・・我が家に振替えれば 2,000万円の国家財政赤字を背負っているんだから、とうに死に体でもうどうでも良くなってくるが。
写真は近所の空き地のヤブカラシ。嫌われ者だがよく見ると小さな花が面白い。 | |
2015/07/01 |
|
| |
|
| -1433- スパムメール | |
先週週末に 近くの回転寿司に行こうということになったが、いつも店先まで行列ができて1時間待ちに近い状況なのでネット予約を調べて予約した。 その過程で、EPARKなる予約サイトでメアドを入力して登録してから予約しなければならず、しかも出先で予約ということもありうるので、いつもこうした登録はスパムフィルターをガチガチにかけて且ついつでも捨てられる PCのフリーメールのメアドにしているところを、つい携帯のメアドにしてしまった。しかも、その登録完了メールを受診するために 携帯メールにかけていたフィルターも一旦外した。 5年ほど前に今の機種に変更した時 フィルターの設定方法がわからずに夜中のメールに辟易としたのも忘れて、寿司屋で食べ終わったらすっかりメールのことは忘れていた。途中 2通ほど怪しげなメールが届いたが、一旦解除したフィルターの戻し方もすぐにはわからず、そのまま寝てしまった。 ところが夜中 2時ころにメールの着信音がして目が覚めたが眠いので遠いところに投げておいてまた寝てしまった。 翌朝、調べるとなんと合計で 10通近いスパムが入っていた。 EPARKがメアドを漏らしているのか、いままでフィルターのお陰で気づかなかっただけなのか分からないが、慌ててフィルターを一番高いブロックレベルに設定した。 それにしても件名だけでもどう見ても「釣り」メールとわかるメールなのに 何万何十万と発信しているうちにはたまに引っかかる人もいるんだろう。
写真はマンション敷地内に咲いていたナツツバキ。いつも散歩する道で毎年見る花の小さなナツツバキはもうとうに散ってしまったが、こちらは普通の椿と変わらないくらいの花の大きさ。花弁の白さと透けたようなピンクが印象的だ。 | |
2015/06/30 |
|
| |
|
| -1432- 冷蔵庫 不調 | |
今日が夏至だったということに後で気づいた! これからは徐々に昼間が短くなるんだ。 そんな夏になって氷が欲しくなったというのに、十年以上使い続けた我が家の冷蔵庫は最近氷が出来ない。自動製氷機の水タンクに水を満たして装填しても、どうやらタンクの装填感知スイッチが入らないのか製氷皿に水を送るポンプが回っている気配がない。 数年前にも同じ状況になって、タンクの装填感知スイッチの不良と読んでタンクの底に固めのスポンジをテープで貼り付けた。そのお蔭か今まではできていたのに、今年になって再び同じ症状が出た。最初はスポンジが潰れたか感知スイッチが更にヘタッて感知位置が後退したのかと思ってスポンジの下に更に薄いプラスチックの板を敷いてみた。1回はそれで製氷できたが、その後何度トライしても、スポンジの厚さを増してもポンプがウンともスンとも言わなくなった。 検知スイッチを騙すのは諦めて、製氷皿に直接水を満たしては製氷する「マニュアル製氷」でしばらく氷を作っていたが、一応これでも氷ができると製氷皿が回転して氷が自動で落ちることがわかった。3回ほどこうして氷を作っていたら、ある時気づいたらどうも給水ポンプが回転している音がする。アレっと思ってタンクを見ると確かに水の量が減っている。 どうも今回は検知スイッチのヘタリ不良に加えて製氷満杯を検知するスイッチかタンクの検知スイッチに氷でもついて作動不良になっていたようだ。いよいよ冷蔵庫の買い替え時期かと観念しつつあっただけに助かった。 何事もすぐに諦めてはいけないという教訓だろう。
今日の写真は近くの工場の敷地内にある池州の蓮に花が咲いた。塀越しにちょっと失礼して一枚。 | |
2015/06/22 |
|
| |
|
| -1431- 転んでも・・・ |
苦労している VBAなんだが、色々やっているうちには思わぬ成果もある。 そのうちの一つは、Excelが セルのコピペの時に出す「ピポッ」と言う音を消すワザ。普段はそれほどにも感じないが、マクロでは何十回もコピペを繰り返すことだってある。そうなるともう「ピポッ ピポッ ピポッ ピポッ ・・・・」と際限なく続いてうるさいというより間抜けな感じすらしてくる。何とかこの音が消せないだろうかと Webを探しまわったが、VBA内だけで簡単に解決できる方法は見つけられなかった。もちろん「Excelのオプション > 詳細設定 > 操作の結果を音で知らせる」のチェックは外してある。それでもこの「ピポッ」音は消えない(・・・と思ったが、実はその後 入れていたユーティリティの ArtTipsというクリップボード履歴を残すツールでコピー時の効果音を設定していたことを発見、そちらを外して解決したが一応ワザとして残しておくことに)。 そんな中で、英語のページを幾つか繋げたらシステム音量全体をコントロールする方法に辿り着いた。ほとんどのページではミュートする方法を説明しているが、これだとトグル動作になってしまい、ミュート中なのかどうかを検出する方法がわからないと実質的に使えない。 下記の方法は 音量ボリュームを 20%ずつアップ・ダウンさせる方法でピッタリ元の音量に戻せないかもしれないが実質的には問題ないと思う。 標準モジュールに ----------------------- Private Declare Sub Sleep Lib "KERNEL32.dll" _ (ByVal dwMilliseconds As Long)
Sub volchange(vol As Long) Dim oShell As Object Set oShell = CreateObject("WScript.Shell") oShell.Run "%SystemRoot%\System32\SndVol.exe" Sleep 500 If vol < 0 Then For i = vol To 0 oShell.SendKeys "{PGDN}" ' Vol down -20% Next i Else For i = 0 To vol oShell.SendKeys "{PGUP}" ' Vol up +20% Next i End If oShell.SendKeys "%{F4}" ' ALT F4 to exit the app. End Sub ----------------------- ターゲットのサブルーチンに ----------------------- call volchange(-4) ' コピペ処理 call volchange(4) ----------------------- "Sleep 500" は多分 サウンドコントロールの表示待ちのディレイだろうと思う。削除すると動作しないが 100ms なら私のマシンではOK。 そのうちに別ページを立てておこう。
今日の写真はユリの仲間。カスケードとか言ったと思うが花弁に赤いポツポツが無いから別の名前かも? 園芸種は種類が多すぎて名前を覚える気にもならない。ずいぶん派手な花だ。 | |
2015/06/17 |
|
| |
|
| -1430- ハマってしまった! | |
VBAプログラムがバグで苦しんでいる。 何十枚ものシートから転記したデータのシートごとのスタート行を 4行区切りにするという仕様が、間にデータ 0件のシートが入ったり、先頭シートが 0件だったりしてバグってしまった。マクロ命令のほんの些細なオプションの指定の仕方のノウハウが不足しており、スキルの未熟さを思い知らされている。 例えば、Findというセルのデータを検索する命令なんだが 1行から1000行まで数字が昇順にいくつかずつ並んでいる場合、その先頭行を検索するのに、つい FoundCell = .Columns(nscol).Find(What:=k, After:= .Cells(1, nscol), _ SearchDirection:=xlNext) などとやってしまうんだが、これだと kという値が1行目~2行目に入っていても 1行目の後ろから検索開始するので 2行目のセルが返されてしまう。 「1」の代わりに 「Rows.Count」 で最終行を指定すると、最終行の次は1行目に戻って検索するから 1行目のセルが検出できる。単純な問題なんだが、知らないと最初からはそうは書かない。
今日の写真はムクゲ。1週間ほど前から 1輪、2輪と咲き始めた。パソコンと睨めっこしている間に 夏だ! | |
2015/06/16 |
|
| |
|
| -1429- 何とか・・・の続き:その5 | |
まだまだ続く・・・VBA の話 また問題が・・・・ (^ !^ ゞゞ 処理するデータシートの数が予想をはるかに超えていたようだ。お陰で オーバーフローが! でも、#1426 で書いたように、デバック用の変数を埋め込んでそれをエラー発生時にファイルに書き出すように変更したせいで、そのファイルを送ってもらったら処理件数が増えたところでオーバーフローエラーが発生することがわかり、一発で原因に辿りつけた。 原因は変数宣言の一部に "Integer" を指定してしまったせいだと思われる。慌てて 変数型を "Long" に変更。 パソコンのメモリは GB領域になって今や殆ど意味のない "Integer"型だが、何せ少資源のパソコン時代を生きてきたせいでつい メモリ資源をケチろうなんてセコい意識が出てしまう。意識を改めなくては!
今日の写真はハンゲショウ。 名前と言い、姿形と言い、なんとも陰気な花だ。(漢字で書くと 「半夏生」であって「半化粧」ではないが、つい病人が半分しか化粧していない・・・と言うようないわれの無い想像をしてしまうせいだろうか?) | |
2015/06/11 |
|
| |
|
| -1428- 何とか・・・の続き:その4 | |
シツコク Excel VBAの話。 何とか動くプログラムが出来て(1週間くらい前にもそう書いたような気がするが)、依頼元に送付してテストしてもらっているが、思いもしない問題が出る。思いもしない・・・なんて言うと未熟さを告白しているようだが、事実だから。 その内の一つ、パスワードがかかっているファイルを開こうとして、パスワードが違っていた場合の処理で単なるエラーにしていたんだが、結果はパスワードが違えば開けないので同じようなもんだが、それだとユーザに優しくない。どうやら依頼元でも違うパスワードのファイルに当たったのは今回が初めてのようで、まして私もファイルによってパスワードが異なるという事態は予想していなかったが、どっちにしろ単なるエラーだとユーザは不安になるが、キチンと「パスワードが違います」というメッセージを出せばすぐ納得して安心する。そうした心遣いのあるプログラムを作らなくては!
写真はスズランの実。まん丸の小さな緑の実。この実には毒があるんだろうか? 他の実は鳥にでも食べられたのか、自然に落ちたのか一つだけなっていた。 | |
2015/06/10 |
|
| |
|
| -1427- 何とか・・・の続き:その3 |
あいも変わらずExcel VBA の話。  今更ながら、トンデもない勘違いをしていたことに今日気づいた。<Find>と言う命令で指定セル範囲のデータ検索を行う場合、検索方向を指定したらその先に検索データがない場合は終端まで行って止まると思い込んでいた。図のような例の場合、A1~A17 を検索対象にして"A7"セルから下方向を指定して「1」というデータを検索したら終端までの間には「1」が存在しないから "Nothing"が返されると思っていたんだが、ドッコイ Exceさんは赤い矢印線で示したようにシツコク上端に戻って A1から検索を続行するので "A1"セルの「1」を見つけて結果には”A1"を返してしまう。タマタマ "Nothing"を期待して今まで使った検索範囲ではこうしたケースがなかったせいだろうか? 気付かなかった (^!^ゞゞ それにしてもタマタマ ソレらしく動いてしまうプログラムができてしまうところが日曜プログラマには恐ろしい。
今日の写真はしばらく前から咲いていたクチナシ。今年はあまり匂いには気づかなかった。 | |
2015/06/09 |
|
| |
|
| -1426- 何とか・・・の続きの続き | |
続けてExcelマクロの話。 こちらはまだテストしていないが、デバック用に 処理命令を挟むアイデア。 VBAのデバック環境では エラーがトラップされていなければエラーが発生するとそこで処理が中止されてそこまでの変数内容などがチェックできるが、実際の実行時はエラーが発生したら継続は不可能。 簡単なエラーコードとそこまでのメッセージ表示などを頼りに考えられる部分を推測してカットアンドトライで超非効率なデバックをするしかない。 これを改善する目下のアイデアとしては、Perlでもやっていたことだが、処理のポイント ポイントで変数にそのポイントの番号を代入していき、エラートラップの処理中でこの番号と、重要な変数をエラー記録ファイルに書き出していく。もしユーザーサイドでエラーが発生したらこのファイルを送ってもらえば、どんなルーチンをたどってどこまで処理が進んでエラーが起きたのか、その時の主な変数の内容などが分かるのでなぜエラーが起きたのかなどかなりデバックに役立つはず。早速サンプルでテストしてみよう。
毎年、今の時期になって咲いているのを見るとると田舎の風景を思い出して懐かしくなる花。ホタルブクロ。 | |
2015/06/06 |
|
| |
|
| -1425- 何とか・・・の続き |
この下で書いた Excelのマクロの話。 転んでもタダでは起きない・・・が信条の私としては、バグで依頼主に迷惑をかけつつ、いくつかの新しい手法を考えた。その内の一つは、進捗状況表示(まがい)。 Excel VBAはメッセージ表示中はユーザーのボタン操作待ちになってしまい、バックグラウンドでプログラムの処理をすることができない。つまり時間のかかる処理中はメッセージボックスなどのプログラムの情報を見せることができずアクティブのシートが表示されるだけで、それが全体処理の中のどの辺りで、実際に処理が進んでいるのかハングしているのかも見た目に判断は難しい。Webで検索すると、ユーザーフォームをモードレスという状態で表示させることにより進捗状況を表示させるワザもあるが、出来上がったプログラムのルーチンに結構手を加えなければならない様子。  何とか・・・と考えて、図のようなインチキ進捗状況表示をやってみた。要は、1枚余分なシートを挿入し、その中のセルに「処理中です」のようなメッセージを表示するとともに、列幅を狭めたセルの背景色を処理が進むに連れて変えていくというもの。 ループ処理に入ったら カウンターをカウントアップさせるとともに、そのカウンターの値に対応したアドレスのセルの背景色を変えていき、変えた命令の次の命令でシートの表示更新を止めてしまう。こうすることで、処理対象のセル部分が表示されないで、このメッセージ表示のシートが表示され続けるが、このシートの裏では別のシートの処理が進み続ける。(多分、セレクトされたセルを表示させるための表示更新がされない分、幾らかは処理時間も短縮しているはず) 具体的な命令は for i = 1 to max '<ループ処理の最初> ↑ Application.ScreenUpdating = True ↑ wsDisp.Cells(14, ncell).Interior.ColorIndex = 5 ' wsDisp は表示用ワークシートオブジェクト ↑ Application.ScreenUpdating = False ↑ ・・・・ ↑ ・・・・ ↑ ncell = ncell + 1 next i のような感じ。(もちろん上記以外に処理の最初で変数宣言や、セルの塗りつぶしのリセットは必要。) すでに出来上がったプログラムにチョコっと手を加えただけなので、ちょっと荒いが、一応それらしい動作はしてくれている。最初から組み込めばもっと深いところのループ中でカウンターをアップ、セルの色替えをさせて列幅ももっと狭くしてもっと精細な進捗状況バーを表示できるハズ)
写真はノウゼンカズラ。いよいよ夏らしい花が咲き始めた。 | |
2015/06/05 |
|
| |
|
| -1424- 何とか・・・・ |
#1421で書いた Excel マクロのプログラムが一応動いたと連絡をもらった。 途中、いくつかバグを出して修正を重ねたが、一安心。(まだ処理データの精査が終わってないが!) それにしても Excel マクロは、処理するシートのアクティベイトという制約があるんだが、これが結構難しい。・・・と言うかバグを起こしやすい。実際の Excelでシートを操作する場合は必ず操作するセルは手前に見えているのに、プログラムでは見えていないシートでも命令が書けてしまう。ついウッカリアクティブでないシート上のセルを操作しようとして、そのたびに「Rangeオブジェクトは失敗しました」みたいなエラーに怒られる。ひと通り動いたように見えていても、条件分岐などによって通る処理命令が変わるので確認したつもりでも条件によってはアクティブになっていないシートのセルを直接操作してしまう命令があったりする。そのたびに相手にエラーが起きた状況を確認してもらわなければならない。すべての処理ファイルをもらえればいいが、特に顧客情報のファイルは受けとりたくないのでこちらでは完全な確認が難しい。
早くもカンゾウが開花した。鮮やかなオレンジ色の大輪だ。霧ヶ峰のニッコウキスゲもそろそろだろうか? | |
2015/06/04 |
|
| |
|
| -1423- 狭い話の続き:その3 | |
要は 表示の構造を 列を細かく等分割したテーブルで構成し、表示するブロックの幅によってそのセルをいくつ使うかを決めるというもの。もちろんセルの中に表示する要素によっては列幅を無視して突き抜けて表示が崩れる懸念もあるが、やってみないと分からない。いつもの通り、問題にぶつかってから考えよう、それでも何とかなるだろうというラフな姿勢だ。
今日の写真はアジサイ。普通のガクアジサイとスミダノハナビという種類だと思う。 | |
2015/06/03 |
|
| |
|
| -1422- 狭い話の続き: その2 | |
一つおいて下の話題の続き(WebページのHTML/cssコーディングの話) スマホやタブレットなど PC以外の新しいサイズのデバイスが主流になって、Webページの設計が格段に複雑になった。ブログなどフォーマットが決まっているページに文章や写真をアップするだけならそれほどスキルも必要ないが、ちょっと自分独自のレイアウトやデザインを実現しようとするとスマホが流行する前に比べ、途端に css3.0 等という複雑なプログラムチックな「ページ記述言語」なるものを理解しないとならなくなった。そこで最近は、プログラムなどに馴染みのない人も比較的簡単に Webページのレイアウトをできるような仕組みが登場した。最近流行の Bootstrapなどがそれで、Web制作をする人の間では 「Bootstrap で」というのが決まり文句のようだ。一昔前なら「ホームページビルダーで」と言ったところかもしれないが、こっちはトント聞かなくなった。 で、本題。 Bootstrapなるものも一応ほんのサワリだけいじってみたが、どうも分からない・・・と言うより、分かろうと言う気が起きない。理由は サンプルページに倣って本当に表面的に使うだけならともかく、少しでも独自に変えようとした途端、仕組みの動作を理解するのが大変になる。プログラムの高級言語が一様にそうなように、いちいち細かな変数などを気にしないで済むが、大昔から・・・・機械語:アセンブラ と呼ばれていた頃からプログラムをいじくっている者からするとどうもセーターの上から背中を掻いているようで気に入らない。実力はもちろんだが、もう気力もなくなったのに無謀だとも思うが、やはり逐一できるだけナマのデータを納得しながら弄りたいと思ってしまう。 そこで、Bootstrapなる便利な仕組みには手を伸ばさずに自分で勝手にほんの一部だけだが似たような事ができるテンプレートを作ろうと思い立った。・・・・・先は短いのに、気の長い話だ。
珍しいツツジが咲いていた。サツキではないと思うが自身はない。花弁が 2色だ。 | |
2015/06/02 |
|
| |
|
| -1421- オロオロ・・・ | |
まだ5月のつもりでいたのに、朝 TVを見てもう6月に入ったことに気づいてびっくり。 ということとは関係なく。 1月ほど前に Excel VBAの仕事の依頼が来た。顧客情報の項目を一定ルールで抜き出して並び替えてからハガキの宛名印刷用に変更したり、4面の割付ハガキ宛名面の印刷をするもの。 VBAのプログラムそのものはさほど難しくはなく、1週間ほどで完成し、10日ほど前に操作説明書と一緒に送付しておいた。月末で忙しかったらしく今日になって、電話で聞きながら操作したいと依頼があり LINEで画面を見ながら説明した。 結果 1箇所だけ文字コードの置換の修正依頼があったのでそれを修正しようとして、マクロのコードを開こうとして躓いた。一応客先に出すファイルだからと思ってコードにパスワードロックをかけておいたんだが、そのパスワードを忘れた・・・・と言うより、今まで経験のない2重のパスワードを要求されて???状態に。マクロコードを表示させようとすると最初にパスワードを聞いてくる。ここまではいつもやっていること。その先で今度はマクロを記述したプロジェクトのモジュールを開こうとすると再びパスワード入力画面になる。「パスワードを2重に入力したっけ?」と思いながらも、素直に記憶にあるパスワードを幾つか打ち込んでみるも全部ハネられた。「オイオイ 冗談だろう!?・・・・」とオロオロしつつ、3回連続失敗したら再起動しないと・・・・という制限もないので、もう闇雲に過去に使った思いつく限りの文字列を打ち込むも全部 X。僅か10日ほど前だから忘れるはずもないのに・・・・と言うより最初のパスワード以外入力した覚えもないし・・・などと考えは逡巡して無限ループに入ってしまった。それほど大掛かりなプログラムでもなかったので、途中1回は別名ファイルとして保存したもののそれ以降のほうが追加のコードは多かったような記憶もあり、またそこから再作業となると如何に簡単なコードでも気が重い。都合1時間ほどパソコンの前で悩んでから、落ち着くために近所のスーパーに買い物に出かけ、帰ってきてから再びトライ。状況は変わらない。・・・当たり前だが。 しかし、ふとパスワードの画面のタイトルに目が行った。「xlzipaddressのパスワード」となっている。「xlzipaddress ?」 文字列をよく見ると Excelの ZIPコードと住所を相互変換する機能のように思えるではないか? もう一度よく開こうとしているマクロコードのプロジェクトの一覧ツリーを見ると、今まで何の気なしに見ていたが VBAProject(マクロブック名) という下の「xlzipaddress」というプロジェクトがある。・・・もしかして・・・と思ってパスワード入力ダイアログを一旦閉じて、上の VBAProject(マクロブック名) という部分をクリックしたら難なくシート名のツリーが開き、目的のシートのマクロが開けた。 どうやら、MS日本標準の郵便番号自動変換マクロを開こうとしてしまってパスワードを要求されたようだ。今まで何回となくやってきたのに間違えて別のマクロを開こうとしたことなんて一度もなかった。・・・・というより郵便番号変換があることは知っていたがここに表示されていることなんて意識したこともなかった。2時間ほどのとんだドタバタ劇をしてしまった。 因みに、問題のコードの変更は5分とかからなかった。
今日の写真は綺麗に色づいたボケの実。毎年こんなに真っ赤く色づいたっけ? | |
2015/06/01 |
|
| |
|
| -1420- 狭い話の続き・・・ | |
再び Webページに関する話で恐縮だが、今日躓いた所。 文章の文字列の途中に リンクを貼るとその前後で改行してしまう。リンクを表示させる文字数も、リンク文字列を含めても行末まで十分にスペースがあるのに!? 改行禁止の wordwrap white-space などいろいろ試しても変化なし。 結局原因は <a 要素に display: block を指定していたせいだった。 <a タグの中に style="display: inline;" を指定してチョン!
今日の写真は今年も咲き始めたアペリアの花。夏だ! | |
2015/05/31 |
|
| |
|
| -1419- 狭い話ながら・・・ | |
最近依頼された仕事をしていて、トンだミスをした。しかもその原因に気付くのに随分時間がかかってしまった。 内容はどうでもいいと思うが、自分の記録のため。 Webページを作っていて、 スタイルシート(css)で PC用とスマホ用の表示の切り替えをしているんだが、どうしても スマホの表示が PCの表示に影響してしまう。メディアクエリーと言う切り替えの指定をしており、スマホ用にだけ表示指定をしているつもりのパラメータが PCで表示させた時も効いてしまう。 結論から言えば簡単な話だが、@media screen and (max-width: 479px){・・・スマホ用セレクタ} としているところで、途中に ”}”が一つ多く入ってしまっていたので、その後ろのセレクタは全体のセレクタと見なされて PC用の表示の時にも効いてしまったと言うオチ。 今までの短い スタイルシートならすぐ気付いただろうけど、結構長いファイルになってしまったので「眼を皿のようにして」眺めても老眼では見つけられなかった。 結局 障害の切り分け方法として、.test{ font-size: 20px; color: red;} などというセレクタをスマホ用の後端と思っている ”}”の前から順に前に向かって移動させていき、HTML中の対象文字がどこで 全体>スマホだけ に効くようになるか切り分ける方法で見つけた。 途中 コメントアウト記号の< /* */ >の </*>を消してしまい、大幅に表示が崩れて大慌てと言うドタバタもあったりして、疲れた。 ~~ン、メディアクエリなど親要素の括り括弧とセレクタ等の子要素の括り括弧を変えてくれれば気づきやすいのに・・・・と、素人プログラマのボヤキ。
今日の写真はハナショウブ。いつもカキツバタ、ハナショウブ、アヤメの違いに惑わされるが、ハナショウブって意外と乾いた土でも元気で花を咲かせているからややこしい。 | |
2015/05/30 |
|
| |
|
| -1418- 天声人語 | |
今朝の朝日新聞の天声人語には興味深い話が載っていた。 自衛隊の海外派遣の法制化に関連して、米軍の兵士の戦地における実際の射撃割合に関するデータだ。第2次大戦の時の米軍兵士の戦場における実際の発砲割合は 2割以下、それが訓練で朝鮮戦争では55%、ベトナム戦争では90%までアップしたとか。それとは反対に、帰還兵には精神異常や自殺者が増えているとか。自衛隊もイラクやアフガンの後方支援に派遣された人の自殺者は54人に上るとか。派遣されなかった人との割合比較が出ていないが、そうした事例から「人間は本来人間同士の殺し合いには精神的な負担が大きく出来ている」という学者の説の裏付けだとしている。 国家はごく少数の人間による判断で色々な理由を付けて殺し合いの状況に陥るが、実際に戦地で自らの手でその殺し合いをさせられる多くの兵士は戦地では生き残るためにも兵器を使うが、一方では生き残って帰還した後にそれが重くのしかかるという現実が現代人間社会に影を落とすことになるという。戦争の現実味が乏しかった幸せな世代としては漠然とは考えていたことだが、具体的な数字で示されると見逃せなくなってしまう。
今日の写真は珍しい赤いユリ? 品種改良の産物だろうか? | |
2015/05/29 |
|
| |
|
| -1417- ほうずき | |
今年も公園の片隅で小さなボウズキの木に 1~2輪の花が咲いた。地面の栄養なのか? いつまでもホオズキ市のような立派な木にはならない。 | |
2015/05/28 |
|
| |
|
| -1416- 何故か気になる |
散歩していると、何故か<気になる木>というのが何本かある。 最近気になっているのはマユミの木。去年樹高 50Cmほどの小さな木に 1個だけ 面白い形の実がなっているのを見つけて、今年はどんな花だろうと思って注意していた。春先に 小さな花がたくさん咲いたのを見たら、今度はこんなに花が咲いたのに、また実は少ししかならないんだろうかと気になりだした。ほぼ毎朝、通るたびに実が大きくなるのを見て、たまに写真を撮っていたが今朝見たら、先週中はほんのマッチ棒の頭くらいだった実が急に大きくなっていてビックリ。直径が1Cm弱になってはっきりあの四角く尖った形になってきた。今年はまだ 20~30個の実がなっているが、これがこのまま色づくのか、途中で落果するのか? 今度はそれが気になりだした。 | |
2015/05/25 |
|
| |
|
| -1415- ツゲの花 | |
ツゲの木に花が咲いている。ツゲは葉っぱも小さいが花はもっと小さい。若緑色の若葉が芽吹いて暫くしてから木の根元の辺りに小さな白いツブツブが落ちている。なんだろうと近づいて良く見ると若葉の間に小さな花が咲いており、その花弁が散っていることが分かる。結構花の周りには蜜を吸いに蟻が集まっていたりする。他の虫は蜜が口に合わないのか、細かな葉っぱが邪魔な割に花が小さすぎて蜜が少ないから割に合わないせいかあまり見ない。蟻のように木の枝の方から近づく虫用の受粉システムなんだろう。・・・等と言う事を考えながら写真をとってきた。 | |
2015/05/22 |
|
| |
|
| -1414- ギボウシやスミダノハナビ | |
ギボウシや紫陽花のスミダノハナビが咲き始めた。日一日一日咲く花が増えていく。写真はギボウシ。高原に咲いているギボウシよりも園芸種は葉っぱが広くて斑入り。花も無骨な感じがする。 | |
2015/05/21 |
|
| |
|
| -1413- 新茶 | |
今年も新茶の季節が来た。(店頭では5月頭辺りから新茶の袋が並んでいるが) 我が家は私がコーヒーを飲まないこともあり、普段は緑茶だけしか飲まない。他の食べ物、飲み物にあまりこだわりはないが、お茶だけは20年近くいつも同じ銘柄を買っている。京都の宇治茶の老舗の・・・・と言いつつ、普段は一番安い方のお茶。但しこの時期だけはその普段使いのお茶の5倍以上の値段を払って新茶を楽しむことにしている。 と言うのも、その昔 私の生まれた地方はお茶の葉の生産地の北限に近く、生家でも家の周りの土手にお茶の木が植えられており、この季節両親は自家製のお茶を作っていた。お茶摘みをしてそれを洗って蒸し、親父手作りのトタン製の粗末な乾燥オーブン?で流れる汗をぬぐいながら手揉みを繰り返してかなりの工数をかけて1年分のお茶を作っていた。私の両親は共に明治生まれで、私が知る限り喧嘩もなかった代わりに普段はとりたてて会話も多くはなかったが、お茶を作る時だけは蒸し加減、乾燥の火加減、出来あがったお茶の味見など、随分会話していたような記憶がある。私も面白半分にお茶揉みを手伝う事があったが、掌の火傷しそうなあまりの熱さとお茶の葉から登る蒸気の湿気に辟易として、親父に感心しながらすぐ退散してしまった。 あの当時はすでに近所でも自家製のお茶を作る家はあまり無くなっていたと言う記憶があるが、出来あがったお茶を近所に配ると一様に「美味しい」と言う評価をもらっていたようで、それを励みに毎年労働対価のつりあわない作業をしていたようなところもあった。 私も子供ながら飲んだあの作りたての緑の香りと、舌の上でトロンとした感じのする新茶の味が未だに忘れられないが、今まで試してみた色々なお茶はそれと比べると殆どが後から加えられたようなアミノ酸の味が強くて何杯もは飲む気にはならない。それが20年ほど前だろうか、味に蘊蓄の多い友人から勧められてこのお茶を飲んで以降、その自然の味に感動して他のお茶は一切買わなくなってしまった。 そんな親が育てた娘は、中学校の修学旅行で京都に行った時、タクシーの運転手にどこに行きたいかと聞かれ「お茶の一保堂」と答えたら、「そこは修学旅行のルートに入ってない」と断られて、折角お土産に買って帰ろうと思っていたのにとガッカリしたとか。 毎年この時期にはいつも同じ、そうした自分の親から子へと繋がる一連の思い出に浸りながら、新茶の味を楽しんでいる。
京都にかけたつもりもないが、丁度数日前からキョウカノコが咲き始めた。この株は戻り咲もするが、やはり今の季節の花の色は名前の通り艶やかだ。 | |
2015/05/20 |
|
| |
|
| -1412- イロハのイ | |
今日相談された話の中で気づいたこと。 Excelのファイルでデータの受け渡しをすることは仕事の場面では普通にあると思う。で、その時、ついターゲットのシートが含まれているファイルをそのままコピーして、あるいは不要なデータを削除したファイルをコピーして渡すのが普通に行われているようだ。良く考えるとこれは非常に危険な行為だ。 通常 Excelファイルにはシートが何枚か入っている。そして仕事に使う場合、ターゲット以外のシートにもデータが含まれていることも多い。上記のような操作でファイルを渡すと、気づかずにこの別シートのデータも含めて渡してしまうことになる。そこに重要な顧客データや社内データが含まれている可能性は否定できない。 どんな場合も、相手に渡すデータは必要最小限度にとどめることが必要で、ファイルをコピーして渡すのではなく、新規作成したファイルに、該当のセル部分だけコピーするか、或いは百歩譲っても該当シートだけをコピーして渡すような注意が必要になる。 現代では多くの人が 自前の知識で Excelにデータを記入したり、コピペしたり、ソートしたりしていると思うが、こうした基本の部分を知らなくても日常作業が出来てしまうだけに、意図しないところでデータが流出していることが多そうだ。多くの場合は受け取った側もそんなデータが入っている事には気づかないか、気づいても悪意がなければ問題が顕在化することは少ないが、分かってしまうとうすら寒くなる。
今日の写真はシャリンバイの花。日差しの関係でバックの日陰部分が落ちて白い花が浮き出たので実際よりも奇麗な花に見える。 | |
2015/05/19 |
|
| |
|
| -1411- 性格がいいと健康になる?:続き |
#1407に続けて書こうかと思っていて忘れた! もう一つ、性格と健康の相関の根拠があった。それは食べ物の「好き嫌い」。 好き嫌い、味の好みなどに固執する人は当然、長い人生の最後の頃はかなり偏った栄養摂取になるだろう。(意固地で付き合いづらい人 or 消極的で人づきあいが苦手な人)=(好き嫌いが多い人 or 新しい味にチャレンジしない人)とまでは言わないが、その傾向はありそうで、それらは年と共に身体に現れてきそうだと密かに思っている。何人かの親族、知人を頭に思い浮かべつつ。
今日の写真はカラタネオガタマの花。 この花は咲く時間帯なのか咲いている時間が短いのか、花弁が完全な写真をとるのが難しい。この写真も一枚花弁が落ちた後らしい。花も比較的高い所に咲くので撮影しづらい。 | |
2015/05/17 |
|
| |
|
| -1410- 6X回目の誕生日 |
もうこの歳になると誕生日だからと言って何と言うことはないが(娘たちもすっかり自分たちの生活中心でお祝いメールも来なくなったとヒガミ半分)、Facebookにはたくさんのお祝いメッセージが届く。(Facebookは普段開かないが、メッセージが届くとお知らせメールが来る。実はお知らせメールも常用のメアドではないので件数以外はあまりチェックはしないが、普段フィルターをすり抜ける広告メールやスパムなど 1日 10件程度なのが、一遍に20件以上に増えるのでそれと分かる。) まぁ、社会との関係が<断絶>に近い今の状況では 例え Facebookのお祝いでも懐かしい顔が思い出されて、しばし昔のことに想いを馳せる。 ・・・・という話題とはかけ離れるが、今日勉強したこと。 本当に久しぶりに Javascript(と言いつつ JQueryなんだけれど)をつついていて、Chromeも Firefoxも問題ない表示動作が IE10だけどうしてもうまく動作しないという現象に遭遇した。F12でデバックしても関係ないエラーは表示されるもののそれらを完璧に修正しても動作しない。 Webをうろついていたら 「JQuery + IE はサーバーにアップロードしないと正常動作しないコマンドが一部ある」という記述が目に入った。 慌てて そのままアップロードしたら難なく動作してしまった。本当に IEのオジャマムシめ!
今日の写真は見るたびに自分と重なってしまう花。スイカズラ・・・・何が?って、ヒョロヒョロとして「へへっ!」と愛想笑いしたような花姿で何も役に立たず大して奇麗でもなく誰からもイヤがられこそすれ、認めてもらえることなんてないところ。同じカズラでもノウゼンカズラくらい派手な花が咲くとたまには育てる人もいるが、こっちは雑草地しか生えていない。・・・少々卑下し過ぎたか? 私自身を? イヤ、スイカズラに。この花だって、咲き始めは純白で、徐々に黄色くなって1本の蔦に2色の花が咲いているように見えると言う特技があったりするんだから。 | |
2015/05/16 |
|
| |
|
| -1409- とりあえず | |
ヒルガオが咲き始めた。一生懸命蔓を延ばしてきてツツジの茂みからやっと顔を出して光を受けられた・・・と言う感じ。地味な色だが、ツツジの派手な花の中で咲くとこの色も結構目立つ。 | |
2015/05/15 |
|
| |
|
| -1408- 暑っ! | |
昨日・今日と台風一過の良い天気。天気予報でも熱中症注意などと出ていたが、朝から日差しは真夏のように強く暑かった。しかし、日陰はそれほどでもなくまだまだ過ごしやすかった。 今日の写真はそんな日差しに似合う色の花。ボトルブラッシュがこの日差しで開花した。 | |
2015/05/14 |
|
| |
|
| -1407- 性格がいいと健康になる? | |
(最初に断っておくが、けして私がいい性格・・・と言うつもりはない(心の中だけではそう思っていても!)・・・それに性格と他人から見た健康状態なんて抽象的なもの同士の相関なんて最初から意味ないんだが、まぁ細かいこと言わずに聞き流してください) 最近、同年代の人を人間観察していて思った。その後、何人かの身の回りの人を思い浮かべて確信した。 どうもこの歳になると性格と健康とはある程度の相関がありそうだと。元気で活躍している人は、積極性ももちろんだが物事をポジティブに捉えてくよくよはしていない。体調が悪ければ陽気には振る舞えないからニワトリと卵の関係かも知れないし振る舞いに出す出さないという違いもあるんだろうけど、楽天的な人と悲観的な人を比べると、どうも楽天的な人の方が(少なくとも外見上は)健康な気がする。 最近 TVなどでは精神的なストレスが免疫力に影響すると紹介されているから、「性格がいい=人当たりが良くて楽天的で積極的な」人ほど、例え同じ DNAや境遇だったとしても人間関係や体調、諸々の生活問題に「ケセラセラ」とストレスは感じないはずで、結果免疫力は失われず長い人生の終末期?くらいになると健康状態にも差が出てきて元気でいられると言う説も、あながち外れてはいないと思う。百歳超の長生きのお年寄りが元気の秘訣を問われて「くよくよしないこと」と答えているのは何回も見た記憶があるし。 まぁ、何と言ったところで B型的自己正当化の極みなんだが。
写真は夏ミカンの花。ユズの花などもしばらく前から咲いていたが、最近になって匂いに気付いた。去年まで、夏ミカンの下に同時期に咲いている卯の花(ウツギ)の匂いだとばかり思っていたが、1か所卯の花のない所でも同じ匂いがするのでアレッ?と思って近づいて花のにおいを嗅いで分かった。卯の花の臭いよりもかなりきつい匂いがする。 | |
2015/05/13 |
|
| |
|
| -1406- ヤマボウシ | |
ビヨウヤナギや紫陽花と例年の開花の順番がどうだったのか? 忘れてしまったが、ヤマボウシも1週間くらい前から咲きだした。「ヤマボウシ(山法師?山帽子?)」という名前はこの独特の花の形から付いたのではないかと思うけれど、「法師」というものに馴染みのない私はこの花を見るたび「テルテル坊主」を思い出してしまう。実際には花弁のように見える部分は総苞と呼ばれる花全体を包んでいる「皮」のようなものらしい。 そう言えば、今年はまだ鶯が鳴くのを聞いた記憶がない。 | |
2015/05/12 |
|
| |
|
| -1405- 早っ!:その2 | |
まだまだ小さな蕾しかない紫陽花の中で、突然のようにガクアジサイが開花した。近くにある2株の中でそれぞれ1枝ずつに花が咲いた。台風も接近しているようだし、いよいよ梅雨が近づいていることを知らせてくれているようだ。 | |
2015/05/11 |
|
| |
|
| -1404- 早っ! |
写真はビヨウヤナギの花。今朝の散歩で 2株に 1輪ずつ咲いているのを見つけた。去年は「まだか、まだか」と蕾が膨らむのを心待ちにしていた記憶があるので、あっという間に・・・と言う感じだ。 慌てて調べると、同じ株の 去年の開花は 5月30日、 一昨年は 5月24日だったから 2週間~3週間近く早く咲いたことになる。これも温暖化のせい? それにしても、この写真はホワイトバランスのせいか、色調がおかしい。黄色い花の色はまぁまぁなんだが葉っぱの色が夕日を浴びたようになってしまった。実物はもっと緑が濃かったんだが。現役時代の最後にロハで入手したカメラもこれが最後なので大事に使ってきたがそろそろ主人と同じで退役の時か? | |
2015/05/10 |
|
| |
|
| -1403- とりあえず:その3 | |
土手や野っぱらのあるところなら珍しくもないんだろうけど、この辺りではとんと見かけない。ノビルだと思うけれど、蕾が宝珠の形になってきた。このまま雑草として駆除されなければ花が咲くのを見られるかもしれない。 所で、「宝珠」と書いてからふと思った。ネギ坊主と言うのは頭が「坊主」のようになっているからだとずっと思ってきたが、もしかして元々は「宝珠」が鈍って変化したのかな?と。 こんな時の参考書: WikiPediaによれば 寺社などの柱の頭にある擬宝珠(ギボシ/ギボウシ)は「ネギのもつ独特の臭気が魔除けにもなると信じられ、その力にあやかって使われるようになったとする説であり、擬宝珠(ギボシ)という用字は葱帽子、葱坊主に後から付けられた当て字であるとする」説もあるとか。鶏が先か卵が先か・・・どっちでもいい話ながら一旦疑問に取りつかれると悩ましい。 | |
2015/05/09 |
|
| |
|
| -1402- とりあえず:その2 | |
ニシキギに花が咲いたようだ。花と言っても直径が 5mmにも満たないような小さな目立たない花で、散った花弁がごみのようにくっついているのでけして奇麗には見えない。 | |
2015/05/08 |
|
| |
|
| -1401- とりあえず | |
とりあえず、ヒイラギナンテンの実の写真。 熟せばもっと色が濃くなると思うが、この色もなかなか珍しい。 | |
2015/05/07 |
|
| |
|
| -1400- 大型連休終わり | |
大型連休も今日で終わり。勤め人は明日から仕事。と言いつつ、結婚したパートの娘はもう今日から出勤だそうで、カレンダー上の3連休初日の振り替え休日の解釈は会社によってマチマチのようだ。 そう言えば、箱根の大涌谷の噴火活動が活発化してきているらしい。東日本大震災で岩盤がズレてマグマの上昇位置か上昇の仕方が変わったんだろうか?大過なければいいが。
今日の写真は緋寒桜のサクランボ。かなり色づいて鳥たちが盛んについばんでいる。黒く色づいた実から食べられて無くなっているようだ。但し並木の桜では、サクランボは人間が食するには小さすぎると思うが、鳥なら十分な大きさなんだろう。今年は例年に比べて、色々な種類のサクランボが実っているような気がする。早咲き系の河津桜や緋寒桜、陽光などは早々と色づいてきた。 | |
2015/05/06 |
|
| |
|
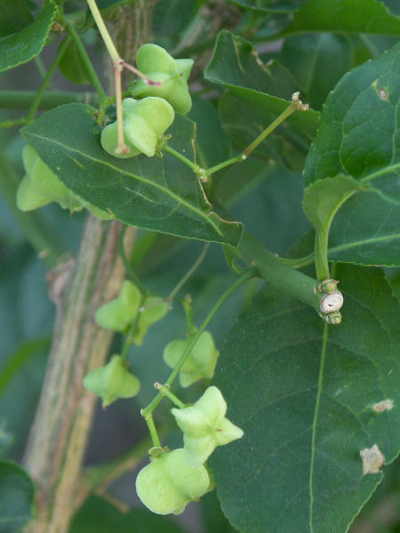
| -1399- マユミの花 |
今日は子供の日。と言っても我が家には全く関係ないが。次女が夫婦で海外旅行に行って帰国し、隣駅のリムジンバス駅まで帰ってきたので置いて行った車を届けたくらいだ。 昨年、 散歩道でマユミの実を見つけた。それ以来 花が気になった。今年 若芽が吹くころから、散歩のたびにちょこちょこ覗いていたがやっと花らしきものが開いた。小さすぎて花が咲くはず・・・と思って見ていないと分からないほど。大きさ 3mmほどの十字型だが色も若干緑がかった白で葉っぱの影で目立たない。それでも雌蕊と4つの雄蕊らしきものは写っている。果実も4つに割れた形だったが、花弁も十字、雄蕊も4つ・・・・何となく面白い。一杯咲いている割には去年は実が一つしか付いていなかった。受粉の割合が極端に悪いのか、実らずに落果してしまうのか? 今度はそれが気になり始めた。 | |
2015/05/05 |
|
| |
|
| -1398- 葛飾柴又へ | |
生まれも育ちも葛飾柴又・・・・の帝釈天へ。 娘夫婦が来て、何故か柴又に行きたいと言うので一緒に。連休中と言う事でもっとすごい人出かと思いきや、多い事は多いがあちこちに行列が出来て・・・と言うほどではない。ドラマの舞台になった団子屋にも並ばずに入れた。 日差しはきつく背中は焼けるように暑かったが、帰りは日没で半袖では寒いくらいに。寒暖の差の激しい季節だ。 それにしても、東京の東側に出かけるといつも思う。西側でしか生活していないと、中央線・総武線の向こう側になった途端、極端に地図に疎くなる。20代の頃東横線~日比谷線で通っていた時に反対側の終点が北千住だったが、電車の行き先表示で見るだけで当時は一度も行ったことはなく、その昔南・北千住が江戸の外れで刑場があったとか言う話を聞いてへ~ぇ? そんな遠いところかと思ったこともあるくらい。今日乗った電車の路線も地図はサッパリ頭の中では描けないが、地図で確かめると23区内とは言っても柴又はその北千住の更に向こうで荒川を渡った先、江戸川の僅か手前だ。そもそも、相模川と多摩川なら絶対に間違えないが、隅田川~荒川~江戸川となった途端 並び順だって地図を確かめないとすぐに忘れてしまうくらいだから。 | |
2015/05/03 |
|
| |